Time: 07:00-10:30 (Seatrack survey) & 13:00-19:25
Weather: F4-5 N turning NW or N-NW in the afternoon. Cold, good visibility, dry for the most part, some light rain at times.
Observers: Niall
T. Keogh, Noel Keogh, John N. Murphy, Keith Bennett, Geoff Hunt, Jeff Pearson et al.
Balearic Shearwater: 1
Sooty Shearwater: 30
Manx Shearwater: 67 in 3.5 hrs (am) & 85 in 2 hrs (pm)
Fulmar: 108 (am)
Storm Petrel: 1
Gannet: 187 (am)
Common Scoter: 3
Great Skua (Bonxie): 12
Arctic Skua: 7
Long-tailed Skua: 2 juveniles (Niall T. Keogh & Noel Keogh)
Kittiwake: 31 (am)
Little Gull: 2 juv/1st winters
Sandwich Tern: 2
Arctic Tern: 7
Guillemot: 43 (am)
Razorbill: 87 (am)
Auk sp. (Guille/Razor): 57 (am)
Chough: 2
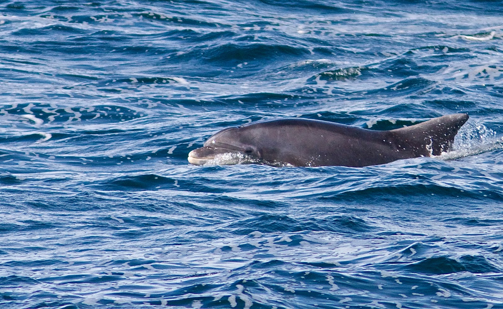
Bottlenose Dolphin: 10+
Harbour Porpoise: 3
Ocean Sunfish: 4
Northerly winds killing off true passage per say as expected but a few quality birds made staring into the wind all worthwhile. The second juv Long-tailed Skua passed by very close to the watchpoint after briefly tussling with an Arctic Tern, showing off its tiny physique. An absolute beaut! Great views of juv Arctic Skuas & some really close Sooties today also. Spent quite a bit of time scrutinising common species (for want of something to do!) and noticed several fresh juvenile Fulmars knocking about.
The 3 Harbour Porpoise were a surprise. In my experience they are rare off The Bridges (in August/September at least), probably due to the presence of a regular group of Bottlenose Dolphins. Today's animals were in a tight-nit group, surfacing actively & at speed as if being chased by something bigger!
Victor Caschera was kind enough to send on a great series of pics which he took from 'The Slab' last week, on 28th August.
![]() |
| Sabine's Gull |
![]() |
| Sooty Shearwater |
![]() |
| Fulmar |
![]() |
| Gannet |
![]() |
| Bottlenose Dolphin |
![]() |
| Bottlenose Dolphin |
![]() |
| Seawatchers |







No comments:
Post a Comment